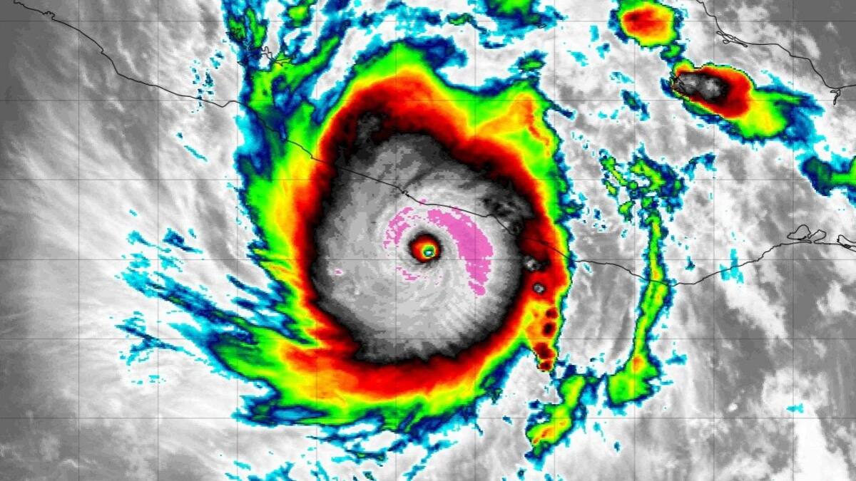
El huracán Otis, que se desplaza por el Pacífico mexicano rumbo al estado de Guerrero, se ha intensificado rápidamente a categoría 4 en la escala Saffir-Simpson y puede alcanzar la categoría 5 en las próximas horas, informó este martes el Servicio Meteorológico Nacional (SMN).





















