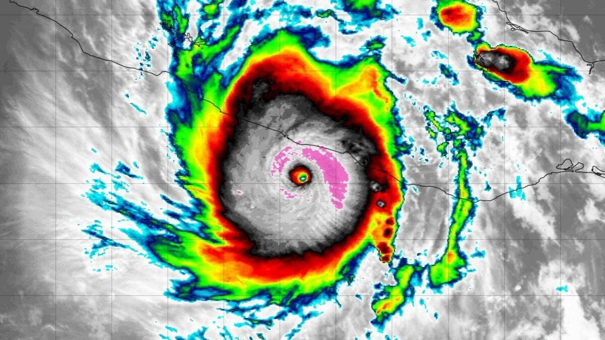
El huracán Otis, que se desplaza por el Pacífico mexicano rumbo al estado de Guerrero, se ha intensificado rápidamente a categoría 4 en la escala Saffir-Simpson y puede alcanzar la categoría 5 en las próximas horas, informó este martes el Servicio Meteorológico Nacional (SMN).
{"titulo":"Entró cuarto convoy con ayuda a Gaza; aún no han dejado pasar combustible ","enlace":"https://www.elheraldo.co/mundo/conflicto-israel-hamas-entro-cuarto-convoy-con-ayuda-gaza-aun-no-han-dejado-pasar-combustible"}
Otis ha crecido súbitamente y en menos de 12 horas ha pasado por las categorías 1, 2, 3 y 4.
'Esta tarde, Otis incrementó la velocidad de sus vientos y ahora es huracán categoría 4 en la escala Saffir-Simpson.No se descarta la posibilidad de que el sistema alcance la categoría 5, durante las próximas horas', apuntó el SMN en su más reciente reporte.
Además, se precisó que a las 18.00 horas (00.00 GMT del miércoles) se localizaba a 130 kilómetros (km) al oeste-suroeste de Punta Maldonado, y a 135 km al sur-sureste de Acapulco, ambos en Guerrero.
El fenómeno presenta vientos máximos sostenidos de 230 km/h, rachas de 280 km/h y se desplaza hacia el nor-noroeste a 13 km/h.
Previamente, el Servicio Meteorológico Nacional (SMN) de México pronosticó que el huracán Otis que tocará tierra durante la madrugada del miércoles, en las inmediaciones de Acapulco, uno de los destinos turísticos más populares del país.
'Se pronostica que el huracán impacte como huracán categoría 4 con vientos de 210 a 250 kilómetros por hora (km/h) entre los municipios de Técpan de Galeana y Acapulco el miércoles entre las 04:00 y 06:00 horas (10:00 y 12:00 GMT)', informó en conferencia de prensa la coordinadora del SMN, Alejandra Méndez Girón.
Añadió que el cuadrante peligroso del sistema afectará gradualmente los municipios de Acapulco, Coyuca de Benítez, Benito Juárez, Atoyac de Álvarez, Técpan de Galeana, San Marcos, Florencio Villareal, Petatlán y Zihuatanejo.
El huracán Otis creció rápidamente a categoría 3 apenas unas horas después de haber pasado por las categorías 1 y 2 este martes.
Méndez Girón indicó que la amplia circulación del sistema 'ocasiona lluvias intensas a puntuales torrenciales en Guerrero; y muy fuertes a intensas en Oaxaca, reforzando la probabilidad de intervalos de chubascos con lluvias puntuales fuertes en Michoacán, Estado de México, Morelos, Puebla y la Ciudad de México'.
'Dichas lluvias podrían originar visibilidad reducida, deslaves, encharcamientos o inundaciones, así como incremento en los niveles de ríos y arroyos', advirtió.
Además, las autoridades mexicanas previeron rachas de viento de 150 a 180 km/h y oleaje de 6 a 8 metros de altura en costas de Guerrero y Oaxaca.
Debido a estas condiciones, la titular del SMN dijo que se mantiene zona de prevención por efectos de huracán desde Punta Maldonado hasta Zihuatanejo, en el estado de Guerrero, así como una zona de vigilancia por efectos de huracán desde Lagunas de Chacahua, en Oaxaca y hasta Punta Maldonado, en Guerrero.
La titular del Servicio Meteorológico mexicano avisó que Otis permanecerá en tierra, en Guerrero, durante 48 horas y llamó a la población en general en los estados mencionados a extremar precauciones por lluvias, viento y oleaje (incluyendo la navegación marítima) y atender las recomendaciones emitidas por las autoridades Protección Civil, en cada estado.
{"titulo":"Joven murió tras someterse a una rinoplastia en México","enlace":"https://www.elheraldo.co/mundo/joven-murio-en-mexico-tras-una-rinoplastia-familiares-senalan-que-una-negligencia-medica-fue"}
El ciclón llega apenas días después del golpe de Norma en el occidente de México, donde dejó tres muertos en el estado de Sinaloa.
Otis es el decimoquinto ciclón con nombre de esta temporada en el Pacífico, donde antes se formaron Adrian, Beatriz, Calvin, Dora, Eugene, Fernanda, Greg, Hilary, Irwin, Jova, Kenneth, Lidia, Max y Norma.
De ellos, el más dañino ha sido Hilary, que en agosto dejó cuatro muertos en los estados de Baja California, Baja California Sur y Sinaloa, todos en el norte de México.
Mientras que el doble azote de los ciclones Lidia y Max dejó cinco muertos en total en la segunda semana de octubre, uno en Nayarit, dos en Jalisco y dos en Guerrero.
El Gobierno de México pronosticó en mayo la formación de hasta 38 ciclones con nombre en la temporada de 2023, de los que cinco pueden azotar el país.





















